Стройка на месте штольни: возле Аркадии могут обрушиться склоны

Возле Аркадии могут обрушится склоны Фото: Юрий Никитин

Возле Аркадии могут обрушится склоны Фото: Юрий Никитин

События
17 июня 2020 09:36

Запрещенное судом строительство многоэтажного «яхт-клуба», которое находится у пляжа под бывшим санаторием «Россия», угрожает разрушением противооползневой системе одесских склонов. Об этом сообщил руководитель организации «Сохраним Одессу сами», инженер Юрий Никитин.

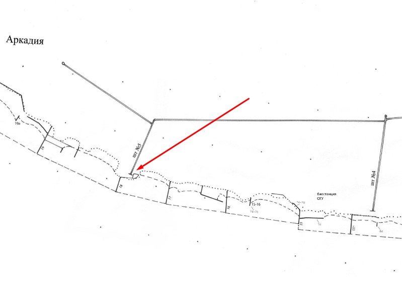
Строители начали разрушать выход дренажной штольни №5 через который в море отводятся грунтовые воды. Это ближайший к Аркадии дренажный выпуск.

Фото: Юрий НикитинФото: Юрий Никитин

На картинке Юрий отметил стрелкой выпуск одной из 15-ти штолен нашей берегоукрепительной системы. 

Напомним, компания «Варда плюс» намерена возвести на этом участке три корпуса от трех до 11-ти этажей и 48 паркомест. 

Проект застройки Проект застройки

68 соток земли у Трассы здоровья Одесский горсовет передал в аренду «Варда плюс» в марте 2019 года. 

По данному факту было открыто уголовное производство, в рамках которого участок был арестован (потом арест сняли). Кроме того, суд вынес определение о запрете строительных работ, которое сейчас действует. Но на неделе на пляж бывшего санатория «Россия»  заехала буровая установка для забивания свай.

Это чат – пиши и читай 👇
Ого! ты доскролил до нашего чатбота 😏
Теперь у тебя есть возможность настроить его под себя и узнавать важный контент первым, чтобы рассказывать друзьям
Только почта, только хардкор 🤘
Мы в соцсетях